Rezerwuj już dziś – przedsprzedaż! 0% Prowizji
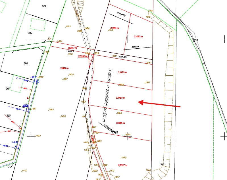
Na sprzedaż wyjątkowa działka położona w malowniczej miejscowości Borówek gm. Siennica, w otoczeniu lasów i w pobliżu klimatycznego jeziorka. Idealna dla osób szukających miejsca na dom całoroczny lub rekreacyjny, z dala od miejskiego zgiełku.
Najważniejsze atuty nieruchomości:
● Działka w trakcie podziału
● Przeznaczenie rekreacyjne z możliwością budowy domu całorocznego
● Media w drodze: prąd i woda – komfortowe warunki do zagospodarowania
● Otoczenie pięknych, sosnowych lasów – doskonałe na spacery, grzybobranie i odpoczynek
● W pobliżu urocze jeziorko zwane bagnem – świetne miejsce na letni relaks i wędkowanie
● Spokojna i zielona okolica – idealna na weekendy i życie blisko natury
Działka dostępna w przedsprzedaży – zarezerwuj zanim ktoś Cię uprzedzi! To świetna okazja zarówno na inwestycję, jak i stworzenie własnej przestrzeni do życia w harmonii z przyrodą.
Działka posiada miejscowy plan zagospodarowania przestrzennego
§ 29. Dla terenów oznaczonych na rysunku planu symbolami od 1ML od 26ML ustala się:
1) przeznaczenie podstawowe – tereny zabudowy rekreacji indywidualnej;
2) przeznaczenie uzupełniające – budynki gospodarcze i garażowe, obsługa komunikacyjna, urządzenia infrastruktury technicznej i zieleń towarzysząca;
3) zakaz prowadzenia działalności, której oddziaływanie zewnętrzne przekracza normy określone w przepisach odrębnych;
4) w zakresie parametrów i wskaźników zagospodarowania terenu:
a) wskaźnik intensywności zabudowy – od 0,05 do 0,5 dla działki budowlanej,
b) maksymalną powierzchnię zabudowy – 20 % powierzchni działki budowlanej,
c) minimalny udział powierzchni biologicznie czynnej – 60 % powierzchni działki budowlanej, d) realizację ogrodzeń o wysokości nieprzekraczającej 1,8 m z uwzględnieniem zapisów § 8 pkt 3) uchwały,
e) obowiązek zapewnienia miejsc parkingowych zgodnie z ustaleniami zawartymi w § 15 uchwały;
5) w zakresie parametrów i wskaźników kształtowania nowej zabudowy:
a) wysokość zabudowy, nieprzekraczająca 9,0 m,
b) geometrię dachów – dachy dwu- lub wielospadowe o kącie nachylenia połaci
dachów głównych od 25º do 45º;
6) możliwość lokalizacji budynków gospodarczych i garażowych w granicach
działki budowlanej o wysokości nieprzekraczającej 5,0 m i dachach ze spadkiem
na własną posesję;
7) dopuszcza się utrzymanie zabudowy istniejącej w tym mieszkaniowej
jednorodzinnej z możliwością jej remontu, nadbudowy, rozbudowy i przebudowy
przy zachowaniu parametrów i wskaźników wymienionych w pkt 4) i 5);
8) dopuszcza się realizację budynków rekreacji indywidualnej jako całorocznych;
9) ustala się minimalną powierzchnię nowo wydzielonej działki budowlanej na
1000 m 2 ;
Działka będzie miała powierzchnię około: 1620m2
Po skończonym podziale działka będzie w wyższej cenie.
Cena: 56 zł/m2,
92.000 zł
Krzysztof Jóźwiak
+48 577 916 111
www.Movinghome.pl

